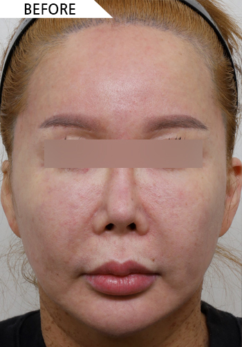
A-Top Plastic Surgery Clinic 整形手術 額縮小+額挙上+ヨウリフティング+首リフティング+マリオネットラインリフティング+糸リフティング+フルフェイス脂肪移植+人中縮小 2026.02.12 | 90 スライダー 並べて比較 切り替え After Before Drag to compare Before After Before After Before After 額縮小+額挙上+ヨウリフティング+首リフティング+マリオネットラインリフティング+糸リフティング+フルフェイス脂肪移植+人中縮小 クリニック情報 A-Top Plastic Surgery Clinic の詳細を見る ビフォーアフター一覧に戻る